Questo sito utilizza cookie di profilazione, anche di terze parti, per fornirti servizi e pubblicità in linea con le tue preferenze. Se chiudi questo banner o prosegui con la navigazione ne accetti l'utilizzo. Per maggiori informazioni su come modificare il consenso e le impostazioni dei browser clicca qui

Vendita Negozio Pesaro

Pubblicato il 16 dicembre 2025 alle ore 09:32

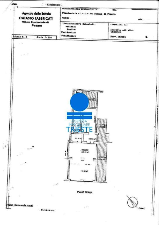
Posizionato lungo il corso principale della città, in posizione di grande visibilità con duplice vetrina, l'agenzia immobiliare Trieste srl propone in vendita negozio a reddito con inquilino referenziato.
Caratteristica principale l'ampia dimensione dell'immobile, oltre 150 mq, distribuita su un unico livello al piano terra. L'unità immobiliare gode anche di uno scoperto esclusivo ed è in ottime condizioni

CLASSE ENERGETICA: In fase di valutazione (Classe Energetica in fase di richiesta)

  • Invia ad un amico
  • Segnala abuso