Vendita Laboratorio Cavarzere
Pubblicato il 17 marzo 2026 alle ore 09:18






















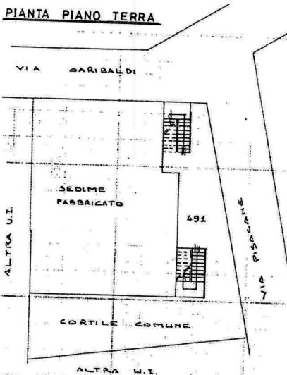
Laboratorio posto al piano terra di un edificio situato a Cavarzere (VE) in via Pisacane, composto da un'ampia sala da lavoro, oltre a un accesso/deposito secondario con antibagno e due servizi igienici.
22REB è a disposizione per valutare come la nostra esperienza potrà favorirti nel realizzare il tuo miglior investimento.
L'immobile è oggetto di vendita giudiziaria.
22REB non si occupa di attività di intermediazione imm. di cui alla legge 39/89.Per motivi di privacy la foto dell'immobile/terreno è indicativa ma non esaustiva.
CLASSE ENERGETICA: In fase di valutazione (Classe Energetica in fase di richiesta)
- Invia ad un amico
- Segnala abuso