Vendita Villa Casalromano
Pubblicato il 01 febbraio 2026 alle ore 09:03






















NUOVA PROPOSTA
IMMOBILE DISPONIBILE
L'immobile si trova nel comune di Casalromano (MN) in via Ciro Chistoni, frazione Fontanella Grazioli.
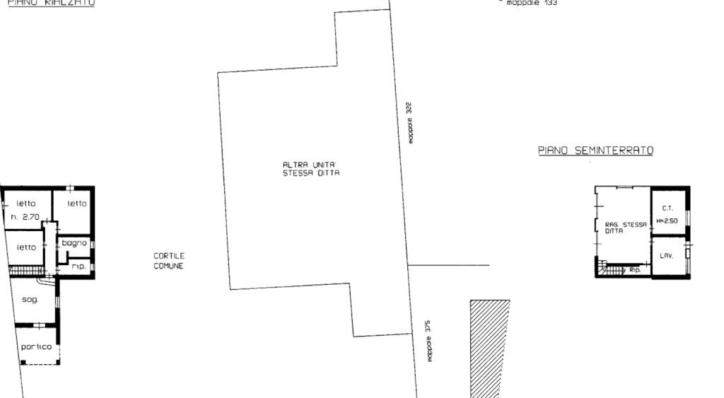
Trattasi di un complesso immobiliare composto da:
-villetta rurale: unità abitativa su un piano, con circostante area cortiliva/agricola esclusiva con piano rialzato da due porticati, ingresso-soggiorno, cucina, un ripostiglio e studiolo.
-Villetta rurale di 6,5 vani e 124 mq con al piano seminterrato da lavanderia, centrale termica e vano scala; al piano rialzato da porticato, ingresso-soggiorno, disimpegno, un bagno, due camere da letto singole, una camera da letto matrimoniale e un ripostiglio.
-Garage di 40mq.
-Barchessa/Tettoia di 408 mq con una barchessa, una tettoia per deposito fieno e un portico.
-Terreno agricolo di 4.060,00 mq.
-Terreno agricolo di 46,00 mq.
-Terreno agricolo di 9.960,00 mq.
-Terreno agricolo di 12.790,00 mq.
-Terreno agricolo di 7.700,00 mq.
L'immobile è situato in una zona molto tranquilla, permette di godere di tutti i comfort e i servizi offerti dalla zona circostante.
Per te la possibilità di avere un preventivo per il mutuo a condizioni vantaggiose con i nostri partner.
Ulteriori dettagli, foto degli interni, planimetrie e altre info, se disponibili, saranno consultabili previo appuntamento nella sede di MANTOVA con LUCIANO che inoltre ti informerà sulle possibilità di aggiudicarti questo affare.
L'immobile pubblicato al momento è sottoposto a procedura di vendita legale; Gescom srl è specializzata nella ricerca e pianificazione di investimenti immobiliari secondo innovative strategie di acquisto. Contattaci subito potrai valutare assieme a un nostro tecnico canali distinti di acquisto dell'immobile, procedura di vendita diretta senza ricorrere all'asta (d.lgs. 149/2022) e ancora stralcio immobiliare. Le informazioni sopra riportate non sostituiscono l'avviso pubblicato dal Tribunale competente ne' l'integrale gestione da parte del delegato designato. Il testo e le specifiche indicate nella presente pagina sono generate automaticamente attraverso l'utilizzo di software e/o da A. I., Gescom srl invita a verificare le formazioni e i materiali multimediali sui canali ufficiali, declinando fin d'ora ogni responsabilità su eventuali errori o incongruenze.
Gescom Italia srl leader negli stralci immobiliari e nella consulenza tecnico legale, non si occupa di attività di intermediazione imm. di cui alla legge 39/89.
Cl. energ. da verificare.
Le foto pubblicate nel presente annuncio sono indicative e non esaustive della tipologia, qualità, consistenza e indicazione geografica dell'immobile.
CLASSE ENERGETICA: A
- Invia ad un amico
- Segnala abuso