vendita appartamento Cecina
Pubblicato il 18 marzo 2026 alle ore 23:34
























CECINA
FL IMMOBILIARE di GRETA LORENZI e AGENZIA TUSCANIA vendono in ESCLUSIVA!
PODERE TRE TERMINI.
In Casolare, riportato a nuovo nel 2003 rispettando lo stile rustico toscano , immerso nel verde della bellissima campagna Toscana tra campi e vigneti, a pochi km dalla strada del Vino di Bolgheri e dalle spiagge di Cecina e Marina di Bibbona, lungo la panoramica Costa degli Etruschi.
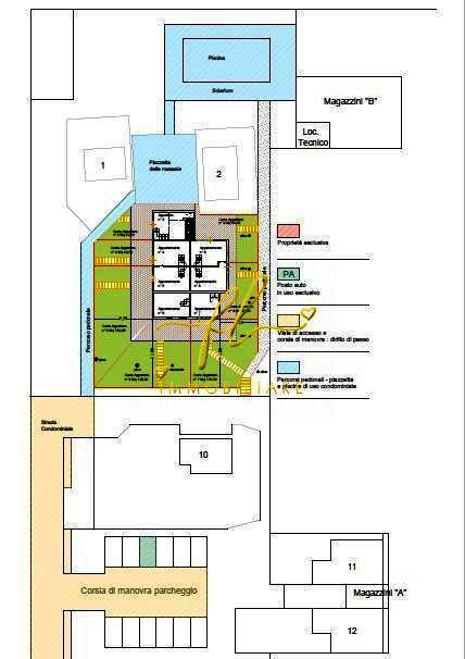
Bilocale su 2 livelli con portico e giardino
Descrizione: 51 m² distribuiti su soggiorno‑cucina al piano terra e camera matrimoniale + bagno al 1° piano, affacciati su un portico ombreggiato che prolunga la zona giorno nel verde. Giardino esclusivo 40 m², casetta in legno e posto auto coperto. Spese condominiali ca. € 1.200/anno.
• Locali 2 | Bagni 1 | Livelli 2
• Giardino 40 m² | Posto auto
• Piscina, Wi‑Fi,
Le Spese condominiali non sono ancora definitive in quanto lo stesso condominio deve ancora essere costituito quindi potranno subire variazioni da quanto indicato.
PLUS COMUNI
• Residence circondato da campi e uliveti e vicino ai famosi vigneti DOC Bolgheri – sulla Strada del Vino e dell’Olio Costa degli Etruschi
• Piscina 14×7 m con solarium, doccia esterna e manutenzione giornaliera
• Parco con pinete, area barbecue, lavanderia in comune e Wi‑Fi
• 5 km dal centro e dalla stazione di Cecina, 60 km dall’aeroporto di Pisa, 20 min dall’uscita A12 Rosignano
• Spiagge premiate Bandiera Blu, parco acquatico Acqua Village, riding center, trekking e piste ciclabili nei Tomboli di Cecina
• Possibilità di subentro nella gestione affitti brevi o uso come prima casa
- Invia ad un amico
- Segnala abuso