vendita appartamento Cecina
Pubblicato il 16 dicembre 2025 alle ore 23:03
























CECINA
FL IMMOBILIARE di GRETA LORENZI e AGENZIA TUSCANIA vendono in ESCLUSIVA!
PODERE TRE TERMINI.
in Casolare, riportato a nuovo nel 2003 rispettando lo stile rustico toscano , immerso nel verde della bellissima campagna Toscana tra campi e vigneti, a pochi km dalla strada del Vino di Bolgheri e dalle spiagge di Cecina e Marina di Bibbona, lungo la panoramica Costa degli Etruschi.
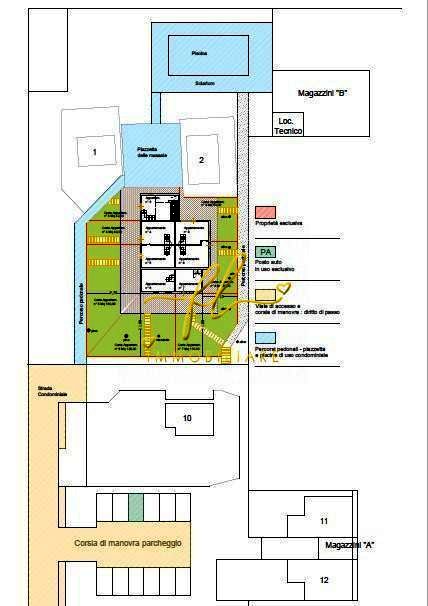
Bilocale 52 m² con giardino e posto auto
Descrizione: 52 m² su due livelli, luminoso soggiorno con angolo cottura, camera matrimoniale al 1° piano e bagno. Giardino 58 m², casetta in legno e posto auto coperto. Perfetto come investimento sulla Costa degli Etruschi.
• Locali 2 | Bagni 1 | Livelli 2
Uso Piscina condominiale per momenti di relax
Le Spese condominiali non sono ancora definitive in quanto lo stesso condominio deve ancora essere costituito quindi potranno subire variazioni da quanto indicato.
PLUS COMUNI
• Residence circondato da campi e uliveti e vicino ai famosi vigneti DOC Bolgheri – sulla Strada del Vino e dell’Olio Costa degli Etruschi
• Piscina 14×7 m con solarium, doccia esterna e manutenzione giornaliera
• Parco con pinete, area barbecue, lavanderia in comune e Wi‑Fi
• 5 km dal centro e dalla stazione di Cecina, 60 km dall’aeroporto di Pisa, 20 min dall’uscita A12 Rosignano
• Spiagge premiate Bandiera Blu, parco acquatico Acqua Village, riding center, trekking e piste ciclabili nei Tomboli di Cecina
• Possibilità di subentro nella gestione affitti brevi o uso come prima casa
- Invia ad un amico
- Segnala abuso