Affitto Ufficio Modena
Pubblicato il 03 marzo 2026 alle ore 21:31













Rif. Annuncio AG602
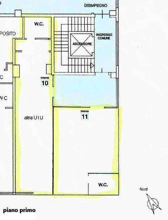
Periferia Est di Modena - vicinanze comparto artigianale di Via Curtatona, si affittano ampi locali di superficie complessiva di circa 370 m2 disposti su unico livello (piano primo c/a) di stabile commerciale moderno.
Zona tattica perfetta per azienda o professionista che vuole essere comodo al casello di Modena Sud e alla Via Emilia in contesto riservato ma facilmente raggiungibile. Qui presentiamo un ufficio (INT. 11) openspace di circa 78 m2 commerciali con servizio e doppia esposizione finestrata (sud-est). L'immobile presenta uno spazioso spiazzo di proprietà ove poter parcheggiare auto.
Immobile già libero - Richiesta EURO 730,00/mese + Iva oltre 200,00 EURO/mese delle utenze comprensive riscaldamento/raffrescamento/acqua. Immediatamente libero anche interno 10 accorpabile.
Per info:
335 591 1876 Giovanni
059 2929690 Studio
realcasamodena@gmail.com
realcasamodena.it
CLASSE ENERGETICA: G
- Invia ad un amico
- Segnala abuso